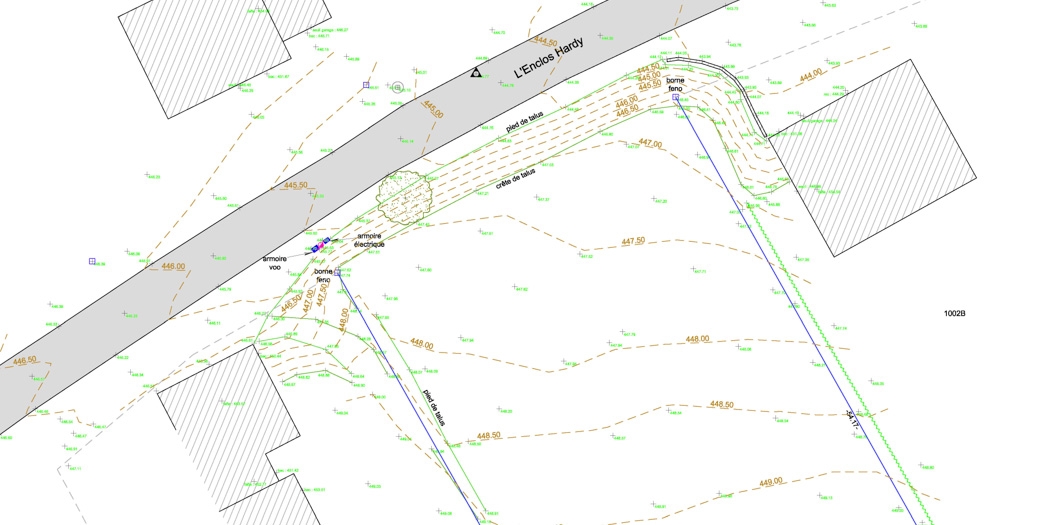
Nivellement en vue d’une construction, en vue de cubature (carrière – remblais de terrain)

 

nivellement Saint-Pierre Libramont
Plan de nivellement destiné à un Architecte, dans le cadre d'un projet de construction à Saint-Pierre (Libramont)
nivellement Saint-Pierre Libramont
plan de nivellement Herbeumont
Plan de nivellement avant travaux de démolition et d'aménagement à Herbeumont
plan de nivellement Herbeumont
plan de nivellement carrière
Plan de nivellement d'une carrière en vue d'une cubature du volume extrait
plan de nivellement carrière
plan de nivellement carrière
Plan de nivellement d'une carrière en vue d'une cubature du volume extrait
plan de nivellement carrière