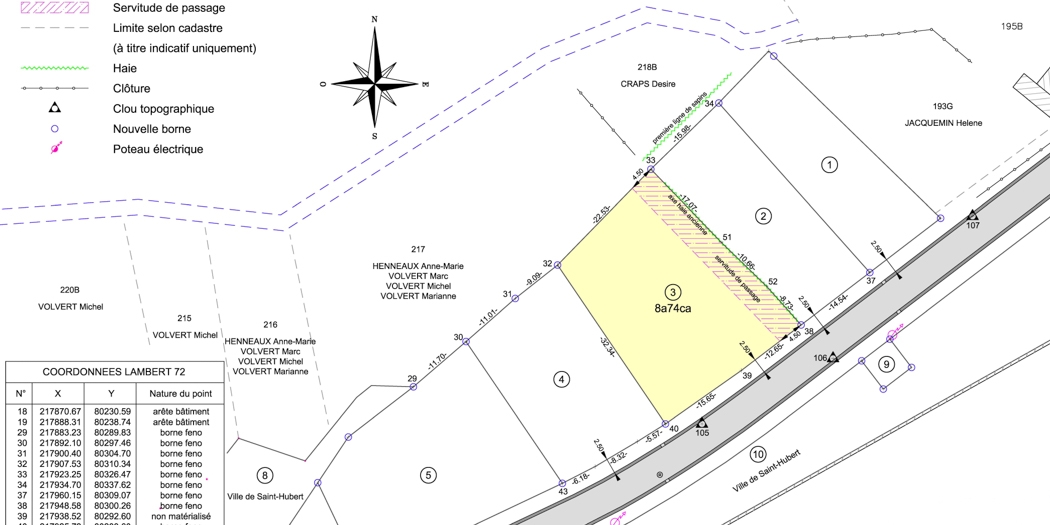
Lotissement à Saint-Hubert Arville: étude d’un lotissement en vue de la réalisation de 7 nouvelles habitations à Arville.
Travail réalisé pour la Commune de Saint-Hubert.

Lotissement à Saint-Hubert Arville Lotissement à Saint-Hubert Arville
Lotissement à Saint-Hubert Arville Lotissement à Saint-Hubert Arville

Autres dossiers de lotissements dans la commune de Saint-Hubert: 6 habitations à Saint-Hubert / Saint-Hubert Avenue Paul Poncelet  /  24 habitations à Vesqueville